子供~学生時代
とりたててどうというところもない子供でした。西宮の小学校は阪神間の知的レベルの高い環境でしたし、文学好きの兄の影響などで本はずいぶん読みましたね。中学1年で陸軍幼年学校に行きましたが、通常ならば勤労奉仕などで勉強らしい勉強のできなかった時代に、幼年学校の教育は、特に理科の授業などきちんとしていました。戦争中の子供ですから、陸軍の参謀になろうと思っていたのです。
でも、1年半で終戦、もとの西宮甲陽中学に戻り、府立浪速高等学校に進みました。ゆっくりと教養を身につけられる時代でした。物理の先生に、光は粒子か波動かという論争が今も活発に行われているのだということ、確立されたように見える理論でもまだまだ挑戦することがあるのだという話を聞いて、次々と新しいことが解明されていくサイエンスを面白いと思ったのです。大阪大学の理学部を推薦してくれたのは、中学時代の数学の先生でした。
1950年に阪大に入学、理学部化学科は30人のクラスで、午前中は学科の授業、午後は実験という毎日を過ごしました。優秀な学生がたくさんいて実験しながらたたかわす議論から、自分の幼稚さを知るとともに、科学的、論理的な考え方を学んだと思います。
そんな中で、酵素タンパク質の構造や働きに興味をもち、生化学で有名な赤堀四郎先生の研究室に入りました。先生は、元来は有機化学が専門でしたが、当時はまだ異端とされていたタンパク質の研究に取り組み、生命の起源まで探求を進めておられたのです。その姿から、視野を広くもち、いろんなことに興味をもつというサイエンスの基本を学びました。ところが、当時の日本では、タンパク質の末端のアミノ酸を決めるのが精いっぱい。欧米では、ペーパークロマトグラフィーですべてのアミノ酸配列の分析を始めており、フレッド・サンガーがインスリンの構造を決めていたのですから、技術の差にかなり衝撃を受けました。
そんな時、結核にかかってしまい、入院となったのですが、ゆっくり本を読み考える時間ができたのは、今考えるとよかったと思います。科学の展望についての本を読み、サイエンスとは何かを考え、ものの本質、原則的な論理や法則を新しく見つけなければいけないと思い至ったのです。そうすると自分のやっている有機化学は大部分がテクノロジーであって、そこにはものの本質に関わるような大きなチャレンジが少ないように思えました。本当のサイエンスがやりたいと強く思うようになったのです。あれこれ読んだ本の中でルリアの本に、生物の本質は増殖にあり、増殖しうる最小単位として書かれていたウィルスに魅力を感じ、その構造と機能を明らかにして生命の本質に迫る仕事をしたいと思いました。
幸運にも、阪大の微生物病研究所の釜洞醇太郎先生が化学出身で生物に興味のある人を助手として探しておられたのです。赤堀先生も分野を変えることに賛成して下さり、58年、これ幸いと微研に移りました。

陸軍幼年学校時代
研究の厳しさを身につける
40年代から、欧米では、W.M.スタンレー スタンレー(1904~71)アメリカ。生化学者。カリフォルニア大学ウィルス研究所長。タバコモザイクウィルスを結晶として分離した。1946年ノーベル化学賞受賞。、M.デルブリュック デルブリュック(1906~81)ドイツのちにアメリカ。物理学、分子生物学者。1969年ノーベル生理医学賞受賞。ファージの遺伝的組換えを発見するなど、ウィルス遺伝学の基礎を築いた。、S.E.ルリアルリア(1912~91)イタリアのちにアメリカ。分子遺伝学者。1969年ノーベル生理医学賞受賞。細菌とファージの遺伝学の基礎を築いた。などによってウィルスの本質がわかり始め、新しい遺伝学、分子遺伝学が盛んに研究されるようになっていました。私のウィルスへの興味は、生物の生物たるゆえん、自己増殖が一番単純な形で提示されていることでしたから、まさにそのような研究がしたかったのですが、日本では、医学的見地から病原体としての研究が大勢を占めていました。釜洞研ではワクチニアウィルス(無毒化した天然痘ウィルス)を研究していましたが、とにかくウィルスを用いて、生物理解のための研究をしようと考えて化学科のクラスメートであった妻の照子と一緒に研究を始めました。
最初に面白い現象を見つけたのは照子でした。培養細胞にウィルスを感染させると、ウィルス感染で変性した細胞が透明な斑点(プラーク)となるのですが、ワクチニアを熱処理すると、不活性化してプラークを作らなくなる。そこに、ワクチニアより小さいプラークをつくる近縁のウィルスを混ぜると、再び大きいプラークを作る、つまり、生き返るのです。おもしろい。『VIROLOGY』と『Nature』に投稿したのですが、オーストラリアのF.フェンナーとまったく同じ内容の論文の同時発表ということになりました。フェンナーのグループは天然痘ウィルスの遺伝学で世界的に有名な大御所だったし、こちらはウィルスについてはまったくの駆け出しです。しかし、負けてはいられない。激しい競争の中で毎日新しい疑問に直面し、その度に猛烈にウィルスの勉強をするという大変な時代でした。結果的には、その後ウィルス学をやっていく上での足固めとしての非常によいトレーニングになったと思います。

生物学研究所で照子夫人と一緒に研究を始めた。

微研の忘年会でデュエット。
アメリカへ
ウィルスの勉強をするうちに、がんウィルスについて大きな発見に出合いました。
がんについては、昔から、遺伝、ウィルス、化学物質などさまざまな原因説がありましたが、解明にはほど遠く、がん研究は泥沼と言われていました。1911年、ペイトン・ラウスラウス(1879~1970)アメリカ。病理学者。1966年ノーベル生理医学賞受賞。濾過性因子がニワトリに腫瘍を起こすことを証明し、ウィルスと癌との関係を明らかにした。がニワトリのがん細胞をすりつぶした濾過液を正常なニワトリに注射して、がんを起こすことに成功、濾過液中のウィルスはラウス肉腫ウィルス(RSV)と名付けられていたのですが、このウィルスを使った研究にも限界があり、長い間忘れ去られていたのです。ところが、58年になって、ハワード・テミンテミン(1934~94)アメリカ。ウィルス学者。ラウス肉腫ウィルスから、逆転写酵素を発見した。1975年ノーベル生理医学賞受賞。とハリー・ルービンがラウス肉腫ウィルスを培養したニワトリ細胞に感染させ、小さいがんをつくることに成功しました。これは大変衝撃的でした。それまではがんを定量的に作らせるなど夢のようなことでしたが、それが可能であることが示されたからです。再びがんウィルス説が浮上してきました。細胞の培養技術の進歩がこういう研究を可能にしたのです。研究技術の開発や進歩は本当に重要です。
その頃、アメリカのフレンケル・コンラート(カリフォルニア大学ウィルス研究所)のところに赤堀研の後輩の次田晧君が留学しており、もう1人日本人を探していたボスに私を推薦してくれました。しかし、がんウィルスに興味をもっていた私は、新しくバークレイに移ったハリー・ルービンのところで勉強したいと手紙を送ったところ、幸いコンラートがルービンに話をしてくれ、61年、カリフォルニア大学バークレイ校ウィルス研究所研究員としてルービンのところで勉強できることになったのです。幸運としか言いようがありません。
ルービンは、動物ウィルスのプラーク定量法を開発したR.ダルベッコダルベッコ(1914~ )イタリアのちにアメリカ。分子生物学者。1975年ノーベル生理医学賞受賞。動物ウィルスのプラーク定量法を開発した。の弟子です。ダルベッコは皆に神様のように尊敬されていました。私は着任早々、ダルベッコが主宰したコールドスプリングハーバーでの動物ウィルスシンポジウムで、日本でのワクチニアウィルス研究について話すように言われ、ウィルス研究最前線の人たちに知られることになった。これも運です。研究室には、ピーター・フォークトもいましたし、研究環境はすばらしいものでした。
アメリカでは、医学部以外の多くの研究者がウィルス研究で重要な成果をあげているのを目の当たりにしました。分子遺伝学はバクテリアのウィルス(ファージ)を使ってぐんぐん進み、遺伝暗号が解明され、3つの塩基が1つのアミノ酸を決めることがわかった頃ですから煮えくり返るお鍋の中のよう。興奮の連続でしたね。

バークレーで。トランスフォーメーションした細胞を顕微鏡で観察している。がりがりに痩せていた。

フランスで。
ヘルパーウィルスの発見
培培養細胞にがんウィルスを感染させると、細胞が形質転換(トランスフォーム)して、テミンとルービンが見出したがん化した細胞の集団、フォーカスと呼ばれる状態になります。ところががんを作るラウス肉腫ウィルスには近縁のウィルスが混在していることがわかりました。この近縁ウィルスはフォーカスを作らないし、感染した細胞には何の変化も見えません。最初に私に与えられた仕事は、これを除き、単一のきれいなウィルスにすることでした。
混在ウィルスの方が10倍も多い。それを取り除くために、ウィルスをどんどん薄めていき、培養皿にフォーカスが1個しかできないようにする工夫をしました。このような条件で混在ウィルスが入らないようにして、そのフォーカスの細胞からがんを作るウィルスを回収するという考え方でした。ところが驚いたことに、このような単一のフォーカスの細胞からはラウス肉腫ウィルスが回収できないのです。何度やってもだめでした。そこで試しに、ここに、混在ウィルスを入れてやったら、ラウス肉腫ウィルスがたくさん出てきたのです。
一番簡単な解釈はラウス肉腫ウィルスは、それだけでは増殖できず、増殖を助けるウィルスが必要だということです。助けるウィルスをヘルパーと名付けました。
ラウス肉腫ウィルスは、細胞をトランスフォームするが自分は増殖しない。増殖する遺伝子を失くして、かわりにトランスフォームする遺伝子が加わっているのではないかと漠然と考えました。
向かいの部屋にいたガンサー・ステントが、バクテリアでの話をしてくれました。ファージがバクテリアのゲノムの中へ入り込んで雲隠れしている(溶原化=潜在状態)時に、薬剤や紫外線などで増殖を促すと、自分の遺伝子をバクテリアのゲノムの中に置き去りにして、その変わりにバクテリアの遺伝子を取り出してくることがあるというのです。ラウス肉腫ウィルスの場合も、ウィルスが宿主細胞に入り、そこからがんになる遺伝子をもらう代わりに、増殖する遺伝子を置き去りにしたのではないか、こういうヒントをもらえる研究者が近くにいてくれるところがアメリカの強みです。
63年にラウス肉腫ウィルスは増殖のためにヘルパーを必要とするという論文を発表し、その最後にウィルスが細胞内で、遺伝子を取りかえているかもしれないと書きました。ここから、ウィルスにはいくつかの遺伝子があるという考え方がはっきりしたり、細胞内にがん遺伝子(オンコジーン)があるという発見がなされることになるのです。
この研究への反響は大きく、世界中で評価されましたが、ここで問題は、ラウス肉腫ウィルスがRNAウィルスだということです。ウィルスが細胞の染色体に入るには、DNAでなければならない。この問題の解決には、70年のテミン、ボルティモアによる逆転写酵素の発見を待たねばなりませんでした。
ラウス肉腫ウィルスの電子顕微鏡写真。
丸く見えるのがウィルス。細胞(培養細胞)の中に見つからないのは、ウィルスは細胞から出ていく時に、細胞の膜を使って外被膜を作るからである。
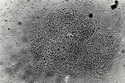
ラウス肉腫ウィルスがニワトリの培養細胞をトランスフォームし、できたフォーカス。
形質転換(トランスフォーム)した細胞は、正常細胞と違って増殖を続けて積み重なり、フォーカスを形成する。容易に識別できるので、定量も可能である。
ラウス肉腫ウィルスとヘルパーウィルス。
ラウス肉腫ウィルスは、細胞を形質転換させるが、ウィルス自らを増殖させることはできない。ウィルスの増殖にはヘルパーウィルスが必要だ。
がん遺伝子は正常細胞にあった
実はテミンは、64年ごろから、RNAからDNAがつくられるかもしれないという、大胆な仮説を提唱していました。当時は、DNA→RNA→タンパク質というのが遺伝学の主流でしたから、だれもがRNAからDNAという流れがありうるとは考えもしなかったのです。ラウス肉腫ウィルスによって形質転換した細胞がその性質を維持するには不安定なRNAではなくDNAでなくてはならないはずだというのがテミンの仮説の根拠です。そしてとうとう、70年、水谷哲とともに、RNAをDNAに転写する逆転写酵素を発見したのです。私がヘルパールウィルスを発見した時に漠然と考えていた正常細胞の中にもともとがんになる遺伝子が存在し、それをウィルスがピックアップしたためにがんを作るウィルスになったという考えもこれで成り立つ。こうして、ラウス肉腫ウィルスを始めとして、動物にがんを起こさせるRNAウィルスは、逆転写(Reverse Transcription)のRetrをとって、レトロウィルスと呼ばれるようになりました。
74年、コールドスプリングハーバーで行われたシンポジウムに持ち寄られたデータによって、このウィルスは遺伝子が4個からなる簡単な構造をしていることがはっきりし、その中で、がんを起こす遺伝子はSarcoma(肉腫)という意味からサーク(src)と名付けられました。
その後、フランスのコレジット・ド・フランス実験医学研究所、ニューヨーク公衆衛生研究所を経て、73年からロックフェラー研究所に研究室をもちました。ここはペイトン・ラウスがラウス肉腫ウィルスを発見したゆかりの研究所です。
76年、マイク・ビショップビショップ(1936~)
アメリカ。微生物・免疫学者。1986年ノーベル賞受賞。
とハロルド・バーマスバーマス(1939~)
アメリカ。微生物・免疫学者。1986年ノーベル賞受賞。
が逆転写酵素を使って、src遺伝子が細胞の染色体の中にあることを証明した論文が発表されました。2人は、ウィルスのRNA遺伝子から逆転写酵素で一本鎖DNAを作り、正常細胞に入れ、正常細胞の中にその鎖と対合する相補的なDNA鎖があることを証明したのです。相同な遺伝子ですから、これもsrcと名付けました。しかし、本当にがん遺伝子を検出しているかどうかはまだはっきりしたわけではないので、私は別の方法でこれを証明しようと考えました。
ポスドクの河井貞明君がsrc遺伝子が70%くらい欠けているラウスウィルスの変異株を見つけていました。欠けているからトランスフォーメーションは起こせませんが、ウィルスとして増殖する能力は完全に残っています。このウィルスにsrcの断片が残っているならば、細胞内で増殖している間に、細胞のsrc遺伝子と組換えを起こし、完全なsrcを復元したウィルスができるのではないかと考えて実験を始めました。
変異株をヒヨコに注射したのですが、しばらくは何も起きなかった。注射した当の私ももう忘れていた2ヶ月後、ポスドクのドロシーが「サブロー、できてるわよ」と叫びながら部屋に飛びこんできました。飼育室にかけつけ、注射をしたヒヨコを手でさわってみると、小さい膨らみが数個、感じられました。確かに腫瘍です。その腫瘍からsrcが完全に復活したウイルスが回収できました。思った通りだ!細胞の遺伝子がウィルスの機能を補ったとしか考えられません。細胞中のがん遺伝子が、組換えを起こしてウィルスにとりこまれ、がんを作ったと推論できます。77年『Journal of Experimental Medicine』というロックフェラーの雑誌に発表しましたが、反響は大きかったですよ。
がんを作る遺伝子が細胞にもともとあることが明らかになったのですから、がん研究は様相を一変しました。それまでは、がん細胞と正常細胞を比較するといっても、何を調べればよいかわからなかったのですが、正常細胞のどの遺伝子が変異したかを調べるという方向が見つかったのです。その後、大規模に押し進められたヒトゲノム計画は、ここに出発点があるのです。大きな発見とは、それでいろいろなことが説明できるもの、それが本物です。今までわからなかったことが一挙にわかってくる。
この研究によって、私は、ビショップとバーマスとともに、82年ラスカー賞(ノーベル賞への道といわれる、生物学、医学研究に与えられるアメリカの由緒ある賞)を受賞しました。
ビショップとバーマスは、ウィルスのDNAと細胞のDNAが対を作ることを示したのですが、この実験だけでは本当に証明したとは言えません。でも大筋では非常に綺麗な研究結果です。89年のノーベル賞は、ビショップとバーマスの2人が受賞しました。彼らは、私にとっては強力な競争相手でしたが、研究に関してよく話し合いましたし、良き友達です。

ロックフェラーの研究室で
ロックフェラー研究所の学生募集のポスターを飾った。花房博士の研究室は一番多くの学生や研究生を育てた。

ラスカー賞受賞の時。ビショップ、バーマス等と。
がん研究の進展
がん遺伝子がもともと細胞にもあることがわかったので、区別するために、ウィルスの遺伝子をVirusのVをとってv-src、細胞のものはCellからc-srcと呼ぶようになりました。DNAを扱えるテクノロジーがまだ始まったばかりの頃でしたが、竹家達夫君が非常に苦労してc-srcをニワトリの染色体から取り出して、構造を調べたところ、c-srcとv-srcは、ほんの少し違うことがわかりました。そして、v-srcの代わりにc-srcをもったウィルスを作ると、がんを起こさないこと、ウィルスの中に入る時に変異が起き、発がん性をもつことを明らかにしました。さらに、v-srcのもっているチロシンキナーゼ活性ががん化に重要だということも示しました。
88年にCT10というニワトリ肉腫ウィルスでがん遺伝子v-crkがみつかったのでv-crkとv-srcの作るタンパク質を細かく比べてみたところ両方に共通に存在し、細胞内の情報伝達系で重要なはたらきをするタンパク質(SH2やSH3)の存在が明らかになりました。これはがんの仕組みの解明であると同時に、その後、細胞のはたらきの基本ともいえるために急速に盛んになったシグナル伝達の研究を開くものでもありました。
タンパク質の構造と機能を知りたいという夢をもって、赤堀研の門をたたき、かなわぬ思いに気持ちが沈んだ頃のことを思い出します。当時の技術を思えばしかたのないことだったのですね。その後の分子生物学の進展は目覚ましく、細胞内のタンパク質のはたらきも、今ではもつれていた糸が次々とほぐれるように解明されてきています。その糸口になったのは、ウィルスの研究であり、がんの研究だったと自負しています。
c-src遺伝子とラウス肉腫ウィルスのv-src遺伝子。v-srcではc-srcのイントロンの部分が除去されている他、いくつかの違いがある。たとえばc-srcの約500塩基の中で約10個に変異が見られ、それぞれがv-srcのがん化能に寄与している。
v-srcたんぱく質と
v-crkたんぱく質の構造
共通のたんぱく質SH2、SH3がみられる。
サイエンスの面白さ
私の研究は、細胞ががん化する仕組みの解明だったといえますが、その研究の各段階でいつも今何が大事かということを考えてきました。自分の頭で考える。人と同じことはやりたくありません。
わからないことに挑み、新しい原理を見つけていくのがサイエンス。そのためには、現状を知って、突き詰めてものを考ていく。そうすると、案外パーンとあれっと思うようなことが出てくる。それには相当考えなければだめ。考えることに尽きます。
新しい側面が少しずつ解明されて、ある時ようやく全貌がわかってくるのであって、それまでは雲の中です。だから、見つけた現象を自分のもっている知識全部で説明できるかどうか。説明できないとすると、どこに問いがあるのか。それを一つ一つ明らかにすることが基本ですね。そうやって全然予期せぬことが見つかった時は、本当に興奮します。それを一度経験したらやめられない。
とにかく私はいろいろな点で幸運だった。研究する環境、何人かの偉大な教師、アメリカでの良き同僚、そして研究室を支えてくれた多くの若い人々の援助など、すべてに恵まれていたと思います。また大学の同級生であり、微研で仕事を始めて以来、ニューヨークで亡くなるまで、終始研究の喜びと苦しみを分かち合った妻の照子には深く感謝しています。
今はこのようなアメリカでの経験を日本で役立てたいと思い、若い人たちが思いきり研究できる環境づくりをしています。
本物の研究者が育つことを願っています。(文責:高木章子)

文化勲章受賞のお祝い。

微研でレクチャーをしたとき。中央は、豊島久真男博士。

アフリカのサファリで。2週間のバカンスを楽しんだ。

家族で。95年11月。翌2月に夫人は亡くなった。

夫人のメモリアルには、研究室の出身者や著名な研究者が大勢集まった。

ロックフェラー研究所の名誉博士となった時のセレモニー。







